Подбор праймеров
Основные принципы
Поиск последовательности нуклеотидов
Подбор праймеров в программе “PrimerSelect”
Выравнивание праймеров
Подбор праймеров в GeneBank
Tm калькулятор
10.43M

podbor_prai_774_merov

1. Подбор праймеров

2. Основные принципы

• Длина 18-30 нуклеотидов
• Температура отжига 45-65°С, максимально допустимая разница
между температурами отжига праймеров 5°С
• Должно быть одно место отжига
• Праймеры могут быть не полностью комплиментарны матрице,
но изменения допустимы только на 5’-конце, 3 ’-конец
обязательно должен быть полностью комплиментарным
• Желательно, чтобы праймеры заканчивались на 3 ’-конце на А/Т
• Недопустима самокомплементарность(димеры и вторичные
структуры) праймеров, особенно на 3 ’-конце (минимум 4
нуклеотида)
• Стандартная концентрация праймеров в реакционной смеси 0,20,5 мкМ

3. Поиск последовательности нуклеотидов

4.

5.

6.

7.

8.

9.

10.

11.

12.

13.

14.

15.

16.

17.

18.

19.

20. Подбор праймеров в программе “PrimerSelect”

21.

22.

23.

24.

25.

26.

27.

28.

29.

30.

31.

32.

33.

34.

35.

36.

37.

38. Выравнивание праймеров

39.

40.

41.

42.

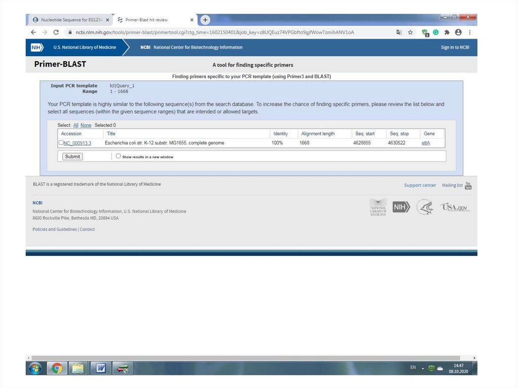
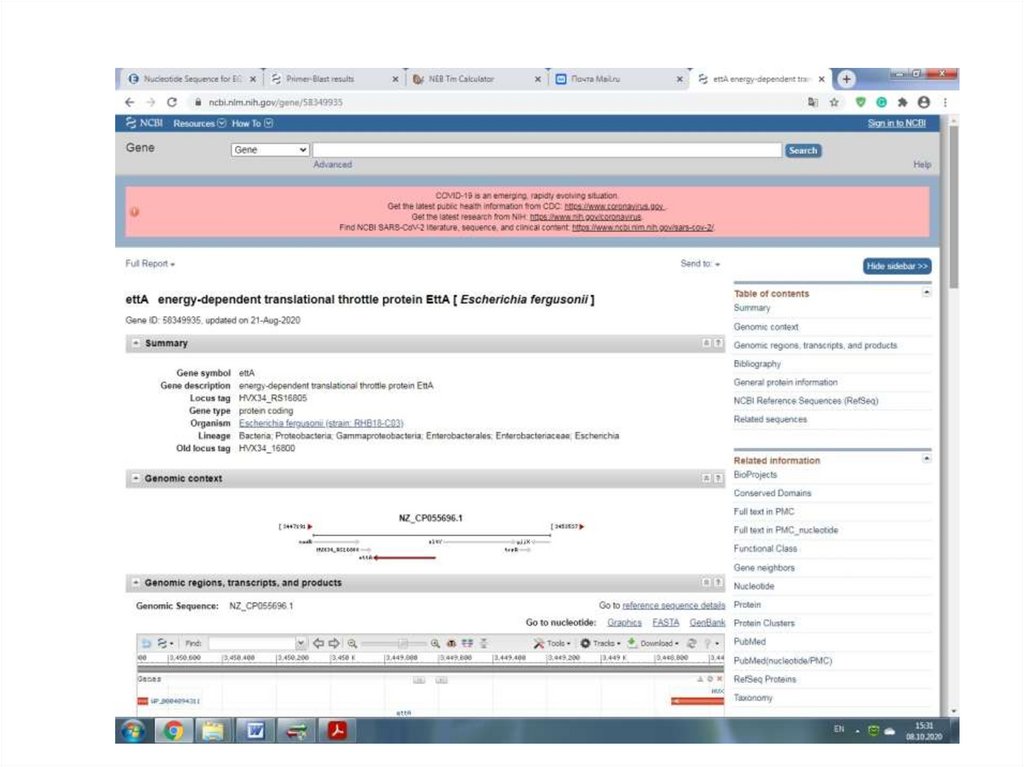
43. Подбор праймеров в GeneBank

44.

45.

46.

47.

48. Tm калькулятор

English     Русский Правила